Turkse kraakwilg - Salix euxina

De algemeen voorkomende Turkse kraakwilg, vroeger Kraakwilg genoemd, tref je aan als hoge struik of lage boom met een brede kroon. De jonge twijgen breken bij aanraken gemakkelijk af, wat een goed herkenbaar kenmerk is. De bladeren zijn breed lancetvormig met een vrij langgerekte spitse toelopende punt. De grootste breedte is in het midden of net iets onder het midden van het blad. De bladrand is gezaagd. De bloeiwijzen van de Kraakwilg verschijnen tegelijk met de bladeren of net iets er na. Bestuiving geschiedt zowel door insecten als door de wind.

Klik op een foto voor kenmerk met uitleg:
Verspreidingskaart
Ecologische parameters

De Turkse kraakwilg, Salix euxina I.V.Belyaeva, maar vaker Salix x fragilis L., uit de Wilgenfamilie of Salicaceae, is een grote struik of lage tot zo'n 20 meter hoge boom. De kroon van de Kraakwilg is wijd en breed en lijkt daardoor veel op de kroon van een Appelboom.

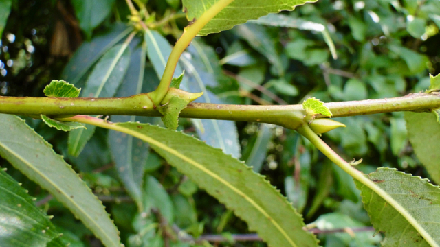
De stam, vaak is de boom zelfs meerstammig, kan nogal krom zijn. Dat valt vooral op bij een oude alleenstaande boom. De oudere takken zijn rond en recht. De schors van zowel de stam(men) als de oudere takken is gegroefd. De jonge takken zijn olijfgroen van kleur en zeker niet blauwachtig berijpt; ze zijn kaal en breken heel gemakkelijk af; zelfs bij het tikken tegen de twijgen kunnen ze al afbreken; dit is een goed kenmerk om een Kraakwilg van de andere wilgen te onderscheidsen. De knoppen en jonge takken zijn niet kleverig.

De bladeren staan verspreid aan de uiteinden van de takken en aan de twijgen; ze zijn lancetvormig, vijf tot tien maal zo lang als breed met de grootste breedte in het midden of iets onder het midden van het blad. De bladtop is een lange spits. De rand van de bladeren is gezaagd. Aanvankelijk zijn er twee niervormige steunblaadjes, maar die kunnen later afvallen. Aan de bovenzijde zijn de bladeren glanzend en kaal; als ze jong zijn kunnen ze van onderen licht behaard zijn; soms is ook bij oudere bladeren spaarzame beharing aan de onderzijde zichtbaar. Dat is vooral het geval bij de Basterdkraakwilg, Salix x fragilis, die meer voorkomt dan de 'echte' Kraakwilg. Aan de top van de bladsteel direct onder de bladschijf zitten twee knopvormige klieren.

De bloeiwijzen, het zijn katjes, komen iets na of tegelijk met de bladeren tevoorschijn; aangezien alle wilgen en populieren tweehuizig zijn, is een struik of boom van de Kraakwilg hetzij mannelijk bloeiend hetzij vrouwelijk bloeiend. De bloeiwijzen komen tevoorschijn als zilvergrijze katjes die in het geval van een mannelijke boom of struik geel gaan kleuren en in het geval van een vrouwelijke boom of struik meer groenachtig. De katjes zijn wat langwerpig en rolrond.

De bloemen in de katjes zijn erg eenvoudig en bestaan uit een schub of schutblad met daarbinnen de bloemdelen: een mannelijke bloem heeft twee helmdraden, die over de hele lengte vrij zijn en gele helmknoppen. Onder in de bloem staan twee honingklieren. Deze honingklieren vind je ook in de eenvoudige vrouwelijke bloem naast het bovenstandig vruchtbeginsel op een kleine steel. De twee honingkliertjes zijn korter dan de steel waarop het bovenstandig vruchtbeginsel staat. Bestuiving geschiedt door insecten of door de wind. Insecten verzamelen zowel de honing uit de honingklieren die hen aantrekt maar ook wel wat pollen. Bij bezoek aan een vrouwelijke bloem wordt wel wat stuifmeel afgezet op de stempels. Voor imkers is het plezierig dat deze wilgensoort ook vroeg in het voorjaar bloeit. Overigens produceert een wilg zoveel stuifmeel of pollen dat dit ook aan de lucht wordt afgegeven. Ook de Kraakwilg is dus deels een windbestuiver.

MM_210118

Hoofdgroep:
Plantenfamilie:
Plantengeslacht:
Wilg - Salix
Plantvorm:
struik of boom
Plantgrootte:
1.00 - 20.00 meter
Bloeiperiode:
Bloemkleuren:
geel, grijs
Bloeiwijze:
katje
Bloemvorm:
katje
Bloemtype:
eenslachtig
Bloembladen:
1 schubben
Meeldraden:
2 meeldraden
Vruchtbeginsel:
bovenstandig
Stijlen:
1
Stempels:
4
Vrucht:
doosvrucht
Zaden:
nootje met haarkuif
Stengel:
rechtopstaand
Schors:
gegroefd
Bladstand:
verspreid
Bladvorm:
lancetvormig
Bladrand:
gezaagd
Ondergronds deel:
hoofdwortelstelsel
Plantengemeenschappen:

Het areaal van de Kraakwilg omvat de gematigde streken van Europa en het westen van Azië. De huidige officiële Nederlandse naam Turkse kraakwilg in plaats van Kraakwilg maakt dat duidelijk. Kraakwilg komt voor op open plekken in Wilgen- en Elzenbossen en aan de kant van water in beekdalen en in rivierdalen.

De plantensoort 'Turkse kraakwilg' komt voor in de volgende plantenassociaties:

Kraakwilg en Schietwilg bastaarderen heel gemakkelijk en het is waarschijnlijk zo dat deze bastaarden, Basterdkraakwilg, meer aan te treffen zijn dan de echte zuivere soort, de Turkse Kraakwilg.

Meer informatie over de ecologie van Kraakwilg en de relaties met andere organismen en het milieu is te vinden in Weeda, E.J. et al., (1985) Nederlandse oecologische Flora. Wilde planten en hun relaties. Deel 1: 69-71.

Het determineren op wetenschappelijke basis kan gebeuren met behulp van Meijden, R. van der (2005) Heukels' Flora van Nederland, 23ste druk: 336; waar deze wilg nog Salix fragilis of Kraakwilg heet. Of met de nieuwste druk van deze flora: Duistermaat, H(Leni). (2020) Heukels' Flora van Nederland, 24ste druk: 426-427. In deze flora wordt wel onderscheid gemaakt tussen de Turkse kraakwilg en Basterdkraakwilg.

Een andere gemakkelijke determinatie is mogelijk met Heijmans, E., Heinsius, H.W. en Thijsse, Jac.P. (1983) Geïllustreerde flora van Nederland, 22ste druk: 384-385, 387 en 389.

Uitspraak (accenten) van de oude wetenschappelijke naam: Sálix frágilis, resp. van de nieuwe: Sálix éuxina.